
每一个楼花,都是独一无二的。这里是楼花网。
宋磊不得不破釜沉舟了。
最近,这位住总清樾府董事长搞了一个大动作,将0006号地推倒重来:调规。
一年前的10月15日,这块地的施工许可证已下,不知是否已经动工。
清樾府包括三幅住宅地块:0013号地为一期,0004号地为二期,0006号地为三期,在去年4月26日,公示了总的报规图。
目前清樾府只有一期开盘了。截至2025年10月24日,一期供应416套房源,网签204套,成交均价4.3万元/平米,网签金额8.31亿元。
这个成绩,和周边的建发观堂府、北京国贤府等相比,差之远矣。
一直以来,住总地产董事长刘连福对宋磊信任有加,后者越发感到压力山大。
今年以来,昌平楼市出现了三大现象:
1、供应量激增。北七家歇甲村地块、东小口0001地块将于10月底开拍;平西府0002地块和未来科技城双子箭在弦上;(详见《昌平楼市爆发,供应破万套》)
2、成交低迷。今年以来,昌平楼市整体成交,并不乐观。以越秀星耀未来举例,供应978套,截至目前网签197套。住总清樾府自己的感受则更深;
3、新盘背刺老盘。受好房子政策加持,昌平涌现出一批高赠送面积新盘:星耀未来、中海未来之境、北京国贤府二期、国誉星城、龙湖恩祥凌云颂等。
在这个背景下,宋磊只有选择将清樾府,向好房子方向调规。
由于0013和0004号地已经建设,无法调规,调规的重任,自然就落到了0006地块的头上了。
至于调规后的效果如何,权当作活马医吧。
昌平首个调规的在售盘
在清樾府调规之前,北京今年调规的有大兴区的元启、亦庄的北京润府,通州的缦云ONE二期、朝棠揽阅东区、北投张家湾项目,和海淀的嘉华天珺等。
而清樾府创造了一个纪录:成为昌平区首个调规“好房子”的在售项目。
来看一下它的调规图:
三期占地面积5.49万平米,原规划建面11.64万平米,其中地上规划建面6.918万平米,新版规划中增加到了6.949万平米,多出来的314.45平米,全部为不计容面积。
这意味着它增加了好房子元素。
从规划图看,主要为:1、首层架空,位于14#东边户,面积约80.13平米;2、邻里共享中心,位于小区西边的主大门东边,面积约234.32平米。
在新版规划中,三期增配了风雨连廊。从邻里共享空间北边开始,贴着下沉庭院延伸后,与首层架空相连。
在下沉庭院的东侧,还增加了一处景观廊亭,该区域最初规划中,是一处室外活动场地。新方案中,则被调整至小区的东南角。

老盘调规,很重要的一点,是要有一个气派的大门。三期也是如此,它新的大门位置虽然未动,但较之前雄伟不少,且大门两侧还有围墙装饰。
在原方案中,三期的老年活动驿站、社区助残、托老所等公共配套设施,紧挨着主大门。新规划中,它们则被集中到了小区西北角新增加的配套楼中。
住宅楼方面,新旧两版整体的格局,并没有太大变化。主要是楼栋数,从原来的28栋减至26栋,但层高全部仍为4层。
还有一个小变化是,三期住宅的整体建筑高度,略有改动。原本为12.35至12.75米的层高,变成了12.27米至12.45米。
这意味着单层层高最多压低了12公分,仅过3米最低值。
由于清樾府上有航线,新版还特意标出建筑最高点。如,6-10#的最高点为14.87米。
随着建筑高度的变化,三期屋顶设计也发生了改变,从原来的坡屋顶,变成了平屋顶。

加大128平米户型供应
三期楼栋数,比旧版少了两栋,但它的总户数没有变化,仍为672户。
此外,面积段位也较一期,没有明显变化,主要户型还是4个段位:86平、105平三居,以及128平、143平四居;另有63平的顶层退层户型。
但,它的户型比例变了。
最明显的是143平楼王户型,这是一款南向四面宽的产品。在最初规划中,它分布在12#、15#、18#整栋,共计48套。
而新规划中,则被打散,穿插在8#、10#的东边户和西侧中间户,整体户数较原版,减少了一半。
这个举动,也是根据市场需求而动的。来看看一期的网签明细:
卖得最好的是86平米,供应196套,网签102套;其次为99平段位,供应120套,网签69套;而128平和143平两个大户型段位,共供应64套,只网签了19套。

三期调规后,最新的户型分配比例为:
1、86平。分布在17栋楼中,总房源约252套,占比37.65%;
2、99平。分布在15栋楼中,总房源约241套,占比35.86%;
3、128平米。分布在13栋楼中,总房源约152套,占比22.62%;
4、143平。分布在2栋楼中,总房源约24套,占比3.57%。
此外,它还有少量顶层退层户型,分布在18栋楼中,面积约为63平米。
三期产品背刺了一二期
住总清樾府三期此次调规的理由,很冠冕堂皇:
为提升项目居住品质,打造人民满意的“好房子”,依据“好房技术要点”,对0006地块进行重新设计调整。
不过,314平米的不计容面积,所代表的好房子设施,相比6.92万平方米的地上建面,似乎有点过于“寒酸”。
宋磊团队真正的目的,是想为增加住总清樾府二期增加阳台,这也几乎是每一个调规老盘,最想得到的。
从新版规划图上看,宋磊和他的团队,的确实现了夙愿。
原规划中,住总清樾府所有户型的南向为通面飘窗,边户有分段式飘窗,北向有设备平台不计面积,但不能入户。
此次调规后,则将南向通面飘窗,改为了部分飘窗和内嵌阳台;边户侧面的飘窗和北向设备阳台,则未有任何改动。
其中,86平米户型的阳台进深为1.8米;剩余户型则全部为1.5米。

在昌平,在阳台尺度上,目前能赶超清樾府三期的,只有同属北京城建旗下的国誉燕园朗润,它的所有户型阳台进深,踩着1.8米的上限设计。
不过,在整个北京楼市阳台收紧的当下,三期的阳台尺度,已经足够大了。
花姐测算了它调规前后的实际得房率。
以99平米中间户为例。调规前,它的实际得房率为85%;此次调规后,实际得房率,将上升至90%。
清樾府三期调规之后,两个新问题来了:
1、一期的老业主会答应吗?它们的房子只送了飘窗,没有阳台;2、二期要想卖出去,必然要降价,除非三期要涨价卖。
难产的反馈意见通告
住总清樾府三期产品背刺前期产品,或将引起老业主们的不满。
它们公开反馈的渠道有两个:一是给北京规自委昌平分局综合事务中心发邮件,cpghyggysswzx@ghzrzyw.beijing.gov.cn;二是在人民网领导留言板留言。
但是,一年半以前公示的清樾府报规图,至今也没有见到反馈意见的通告。
这种现象,北京楼市一年来有先例,但不多见。
如:昌平的城建国誉燕园朗润、北京国贤府二期;朝阳区的北京隅东序、紫京宸园、璞樾,延庆的中建臻源府,海淀的中海翠湖玖章等。
经花姐长期观察,这些没有通告反馈意见的楼盘,存在或多或少的难言之隐。
那么,住总清樾府有啥问题呢?

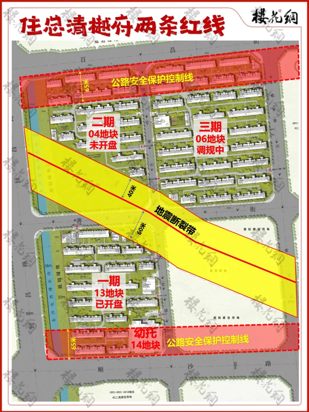
在土地规划上,它至少有两个硬伤:
1、它紧邻地震断裂带南口-孙河断裂(西北段)。在现状和预测评估的基础上,地震专家们对它进行综合分区评估,地质灾害危险性综合评估等级为中级。
从图纸上看,住总清樾府二期和三期距离地震断裂带40米,一期距离60米。
2、它的房子建在公路安全保护控制线内。这条控制线宽65米。按照规定,公路安全保护控制线内不应该建房子。
经目测,清樾府至少南北各有两排房子,建在保护线内。
如今,三期调规来了,公众对清樾府的反馈意见,还能照常发出来吗?
分享到微信
龙湖代建盘,干不过真龙湖